Verdächtiger Fund: Sperrkreis um Leipziger Zeppelinbrücke
Leipzig - Weil im Elsterflutbecken unterhalb der Baustelle an der Zeppelinbrücke ein verdächtiger Gegenstand gefunden wurde, rückt am kommenden Mittwoch eine Firma zur Kampfmittelsondierung aus. Ein Sperrkreis wird eingerichtet.
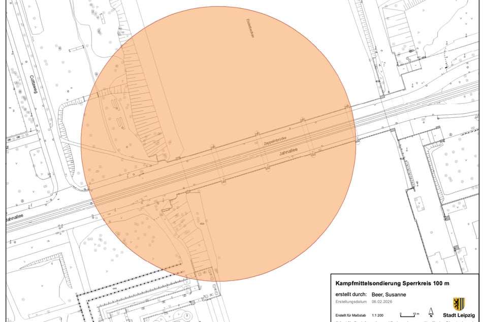
Dieser beträgt 100 Meter rund um die Fundstelle, beginnt am 11. Februar um 8 Uhr und endet voraussichtlich gegen 16 Uhr.
"Im Zuge der Bauarbeiten wurde an den Traggerüsten eine Anomalie im Wasser festgestellt", informierte die Stadt. Nun müsse man handeln. Eine spezielle Firma untersucht den Gegenstand vor Ort.
In den Sperrkreis fällt die Zeppelinbrücke, das Elsterflutbecken sowie der Palmengarten und der Grünstreifen am Cottaweg.
Der Fuß- und Radweg kann den gesamten Tag über nicht genutzt werden. Darüber hinaus werden die Straßenbahnlinien 3, 7, 8 und 15 ab 8 Uhr über den Westplatz, die Käthe-Kollwitz-Straße und den Felsenkeller umgeleitet. "Die Haltestelle Sportforum Süd kann nicht bedient werden."
Beachtet auch, dass an den Haltestellen Waldplatz und Leibnizstraße lediglich die Linie 4 hält. Sobald die Sperrung aufgehoben ist, fahren auch die Trams wieder normal.
Jeden Morgen die wichtigsten Nachrichten direkt in dein Postfach.
- Lokale Nachrichten aus Leipzig & Umgebung
- Exklusive Hintergrundberichte
- Jederzeit abbestellbar
Alle wichtigen Infos und Änderungen im Straßenbahn-Verkehr erfahrt Ihr online sowie unter der Tel. 0341/19449 und in der App LeipzigMOVE.
Titelfoto: Montage: Christian Grube; Stadt Leipzig
